Prijsverlaging:Heemsteres 73, 7683 AM Den Ham - Foto
Prijsverlaging
+54

Heemsteres 73 7683 AM Den Ham € 535.000,- k.k.

  • Woonhuis
  • 7 kamers
  • 6 slaapkamers
  • 2 badkamers
  • Bouwjaar 1965
  • 582 m² perceeloppervlakte
  • 180 m² gebruiksoppervlakte
  • C Energielabel C

Beschrijving

Wonen met volop ruimte, comfort en mogelijkheden – dat is precies wat deze woning te bieden heeft. Met maar liefst 582 m² eigen grond en een zonnige tuin op het zuiden vind je hier een plek waar binnen én buiten alle ruimte is om te genieten.

De woning is verrassend royaal opgezet en leent zich uitstekend voor diverse woonwensen. Denk bijvoorbeeld aan gelijkvloers wonen dankzij de slaapkamer en badkamer (met sauna!) op de begane grond. Gezien de grootte van de woning (180 m² woonoppervlakte) én de tweede badkamer op de verdieping met separaat 3e wandcloset behoort een inwoonsituatie (zie plattegrond, er kan eventueel een eigen opgang worden gerealiseerd) ook zeker tot de mogelijkheden! Daarnaast is de woning zeer geschikt als ruime gezinswoning met meerdere slaapkamers, hobby- en werk-/kantoorruimtes. Ook de vrijstaande garage, carport en het overdekte terras dragen bij aan het praktische en comfortabele karakter van dit huis.

Verder is de woning voorzien van duurzame elementen zoals een airco-installatie (2023, koelen en verwarmen), 20 zonnepanelen en kunststof kozijnen. Ook is de woning extra comfortabel gemaakt door de vloerverwarming in de keuken, bijkeuken en badkamer (begane grond). De woning is gelegen aan een rustige straat in het mooie brinkdorp Den Ham, dichtbij diverse voorzieningen.

Kortom: een veelzijdige woning met veel mogelijkheden, geschikt voor jong en oud.
Benieuwd of dit jouw nieuwe thuis kan worden? Plan dan snel een bezichtiging en ontdek zelf de ruimte en mogelijkheden!

*disclaimer: de getoonde Artist Impressions zijn uitsluitend bedoeld om een idee te geven van hoe de woning kan worden ingericht. Er kunnen geen rechten aan worden ontleend.

Indeling

Entree, staand toilet met fontein, vernieuwde meterkast, trapopgang, kelderkast, rechthoekige woonkamer met houtkachel en airco (2023 koelen en verwarmen), half open riante woonkeuken met L-vormige inbouwkeuken voorzien van alle inbouwapparatuur, bijkeuken/achteringang met opstelplaats voor wasmachine/droger, uitstortgootsteen, vaste kast en kast met opstelplaats voor de cv-ketel, doorgang naar ruime slaapkamer met aangrenzende badkamer met sauna, 2e wandcloset, wastafelmeubel en douche-inrichting. (Officiële vloerverwarming in keuken, bijkeuken en badkamer).

Eerste verdieping

Overloop met vlizotrap naar zolderruimte, 1 kamer met vaste kast en 3e wandcloset met fontein, 2 slaapkamers met vaste kasten, 2e badkamer met wastafel, douche-inrichting en design-radiator, kantoor/werkruimte met inbouwkast, royale hobbyruimte/kantoorruimte/master-bedroom met bergruimte achter het knieschot.

Tweede verdieping

Bereikbaar met vlizotrap naar zolderruimte met opstelplaats voor de omvormers en een radiator.

Overige verdiepingen

Bijgebouwen:
- Overkapping achterzijde aan woning met een afmeting van ca. 5.25 x 3.52 meter;
- Vrijstaande houten garage met een inwendige afmeting van ca. 5.35 x 3.28 meter;
- Vrijstaande houten carport;
- Vrijstaand houthok.

Bijzonderheden

Enkele wetenswaardigheden:
- Gelegen op een royaal perceel van maar liefst 582 m² eigen grond;
- Maar liefst 6 slaapkamers aanwezig, zeer geschikt voor grote gezinnen;
- De woning is geschikt voor een inwoonsituatie (zie plattegrond), aan de zijkant kan een eigen opgang worden gecreëerd;
- Badkamer (met sauna) en slaapkamer aanwezig op begane grond; gelijkvloers wonen behoort tot de mogelijkheden;
- 2e badkamer op de verdieping aanwezig met een separaat 3e wandcloset;
- De woning beschikt over een vrijstaande garage en carport;
- Achtertuin op het zuiden met overdekt terras;
- Voorzien van 20 zonnepanelen, een airco-installatie en kunststof kozijnen;
- Kortom: een verrassend ruime woning, voor vele doelgroepen geschikt!

Kaart

Kenmerken

Overdracht

Referentienummer
06701
Vraagprijs
€ 535.000,- k.k.
Elektra
€ 50,-
Gas
€ 100,-
Status
Prijsverlaging
Aanvaarding
In overleg
Aangeboden sinds
Donderdag 25 september 2025
Laatste wijziging
Vrijdag 9 januari 2026

Bouw

Type object
Woonhuis, eengezinswoning, vrijstaande woning
Soort bouw
Bestaande bouw
Toegankelijkheid
Senioren
Bouwperiode
1965
Dakbedekking
Dakpannen
Type dak
Zadeldak
Isolatievormen
Dakisolatie
Muurisolatie
Spouwmuren
Vloerisolatie

Oppervlaktes en inhoud

Perceeloppervlakte
582 m²
Woonoppervlakte
180 m²
Inhoud
637 m³
Oppervlakte overige inpandige ruimten
19 m²
Oppervlakte externe bergruimte
18 m²
Oppervlakte gebouwgebonden buitenruimte
19 m²

Indeling

Aantal bouwlagen
3
Aantal kamers
7 (waarvan 6 slaapkamers)
Aantal badkamers
2 (en 2 aparte toiletten)

Locatie

Ligging
Aan rustige weg
Dichtbij openbaar vervoer
In woonwijk
Nabij school

Energieverbruik

Energielabel
C

CV ketel

CV ketel
Nefit Ecomline HR
Warmtebron
Gas
Bouwjaar
2003
Combiketel
Ja
Eigendom
Eigendom

Uitrusting

Verwarmingssysteem
Airconditioning
Centrale verwarming
Houtkachel
Badkamervoorzieningen Badkamer 1
Douche
Sauna
Toilet
Vloerverwarming
Wastafelmeubel
Badkamervoorzieningen Badkamer 2
Douche
Wastafel
Parkeergelegenheid
Vrijstaande houten garage
Heeft airco
Ja
Heeft kabel-tv
Ja
Heeft een garage
Ja
Telefoonaansluiting aanwezig
Ja
Beschikt over een internetverbinding
Ja
Heeft een sauna
Ja
Heeft zonnepanelen
Ja

Kadastrale gegevens

Kadastrale aanduiding
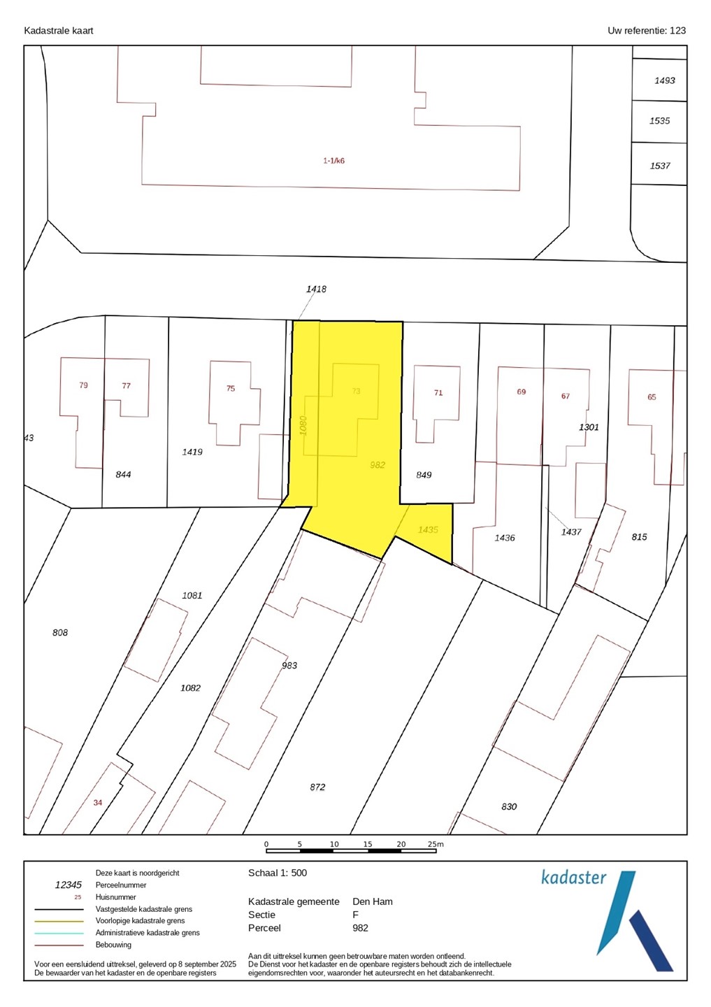
Den Ham F 982
Perceeloppervlakte
417 m²
Omvang
Geheel perceel
Eigendomsituatie
Eigen grond
Kadastrale aanduiding
Den Ham F 1080
Perceeloppervlakte
112 m²
Omvang
Geheel perceel
Eigendomsituatie
Eigen grond
Kadastrale aanduiding
Den Ham F 1435
Perceeloppervlakte
53 m²
Omvang
Geheel perceel
Eigendomsituatie
Eigen grond

Brochure(s) en overige bijlagen

Heemsteres 73, 7683 AM DEN HAM (4) Download