Prijsverlaging:Kleinhaar 22, 7694 BJ Kloosterhaar - Foto
Prijsverlaging
+47

Kleinhaar 22 7694 BJ Kloosterhaar € 355.000,- k.k.

  • Woonhuis
  • 4 kamers
  • 3 slaapkamers
  • 1 badkamer
  • Bouwjaar 1990
  • 239 m² perceeloppervlakte
  • 119 m² gebruiksoppervlakte
  • C Energielabel C

Beschrijving

In een rustige en groene woonomgeving vind je deze verrassend ruime en goed onderhouden 2-onder-1-kap woning. De lichte L-vormige woonkamer en halfopen keuken vormen samen een fijne leefruimte met veel daglicht. Via de tuindeuren in de woonkamer ontstaat er een directe verbinding met de zonnige achtertuin. Daarnaast beschikt de woning over een royale verwarmde bijkeuken met vaste kasten en opstelplaats voor wasmachine en droger. Via de bijkeuken loop je naar de praktische verwarmde berging, ideaal voor extra opslag, hobby’s of het stallen van fietsen.

De achtertuin ligt op het zuidoosten, is onderhoudsvriendelijk aangelegd en voorzien van een aangebouwde- én een vrijstaande terrasoverkapping, waardoor je het hele jaar door comfortabel buiten kunt zitten.

Op korte afstand ligt het bosrijke natuurgebied Engbersvenen: een heerlijk gebied om te wandelen, hardlopen, fietsen of gewoon te genieten van rust en natuur. Een perfecte locatie voor wie graag buiten is en de natuur binnen handbereik wil hebben.

Enthousiast geworden? Neem dan contact met ons op om een bezichtiging te plannen, wij laten de woning graag aan je zien!

Indeling

Entree, garderobe, trapopgang, wandcloset met fontein, meterkast, L-vormige woonkamer met tuindeuren, halfopen keuken met L-vormige inbouwkeuken (2013) voorzien van diverse inbouwapparatuur, riante verwarmde bijkeuken 2.54 x 5.56 meter met 2 vaste kasten en deur naar tuin en deur naar verwarmde berging 2.92 x 3.87 meter

Eerste verdieping

Overloop met trapopgang naar 2e verdieping, 3 slaapkamers waarvan 1 met een dakkapel, badkamer (2004) met wandcloset, douche-inrichting met douche-deur, ligbad en wastafelmeubel.

Tweede verdieping

Bereikbaar met vaste trap naar zolderruimte met vaste kast en opstelplaats voor de cv-ketel.

Overige verdiepingen

Bijgebouwen:
- Berging met een inwendige afmeting van ca. 2.92 x 3.87 meter;
- Carport met een afmeting van ca. 4.70 x 3.00 meter;
- Overkapping aan achterzijde met een afmeting van ca. 2.90 x 4.40 meter;
- Losse overkapping in achtertuin ca. 3.00 x 4.00 meter.

Bijzonderheden

Enkele wetenswaardigheden:
- Ruime, L-vormige woonkamer met tuindeuren;
- Halfopen keuken voorzien van diverse inbouwapparatuur;
- 3 ruime slaapkamers aanwezig;
- Vaste trap naar tweede verdieping met veel bergruimte;
- Ruime verwarmde bijkeuken met opstelplaats voor wasmachine en droger;
- Onderhoudsvriendelijke tuin op het zuidoosten met achterom;
- Goede isolatie en vrijwel volledig voorzien van dubbel glas;
- Rustige, groene woonomgeving;
- Gelegen nabij natuurgebied Engbersvenen;
- Instapklare en goed onderhouden woning.

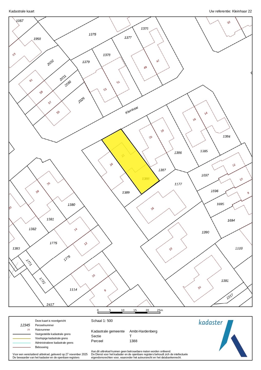
Kaart

Kenmerken

Overdracht

Referentienummer
06720
Vraagprijs
€ 355.000,- k.k.
Status
Prijsverlaging
Aanvaarding
In overleg
Aangeboden sinds
Zaterdag 3 januari 2026
Laatste wijziging
Dinsdag 31 maart 2026

Bouw

Type object
Woonhuis, eengezinswoning, twee onder een kap woning
Soort bouw
Bestaande bouw
Bouwperiode
1990
Dakbedekking
Bitumen
Dakpannen
Type dak
Dwarskap
Isolatievormen
Dakisolatie
Grotendeels dubbel glas
Muurisolatie
Spouwmuren
Vloerisolatie

Oppervlaktes en inhoud

Perceeloppervlakte
239 m²
Woonoppervlakte
119 m²
Inhoud
426 m³
Oppervlakte overige inpandige ruimten
12 m²
Oppervlakte gebouwgebonden buitenruimte
27 m²

Indeling

Aantal bouwlagen
3
Aantal kamers
4 (waarvan 3 slaapkamers)
Aantal badkamers
1 (en 1 apart toilet)

Locatie

Ligging
Aan rustige weg
In woonwijk

Energieverbruik

Energielabel
C

CV ketel

CV ketel
Intergas
Warmtebron
Gas
Bouwjaar
2015
Combiketel
Ja
Eigendom
Eigendom

Uitrusting

Warm water
CV-ketel
Verwarmingssysteem
Centrale verwarming
Keukenvoorzieningen
Inbouwapparatuur
Badkamervoorzieningen
Douche
Ligbad
Toilet
Wastafelmeubel
Heeft kabel-tv
Ja
Telefoonaansluiting aanwezig
Ja
Beschikt over een internetverbinding
Ja
Heeft schuur/berging
Ja
Heeft een dakraam
Ja

Kadastrale gegevens

Kadastrale aanduiding
Ambt-Hardenberg T 1388
Perceeloppervlakte
239 m²
Omvang
Geheel perceel
Eigendomsituatie
Eigen grond

Brochure(s) en overige bijlagen

Kleinhaar 22, 7694 BJ KLOOSTERHAAR (4) Download