Verkocht:Bijvank 19, 7681 ZA Vroomshoop - Foto
Verkocht
+55

Bijvank 19 7681 ZA Vroomshoop

  • Woonhuis
  • 4 kamers
  • 3 slaapkamers
  • 1 badkamers
  • Bouwjaar 2003
  • 264 m² perceeloppervlakte
  • 132 m² gebruiksoppervlakte
  • A Energielabel A

Beschrijving

Op zoek naar een goed onderhouden, energiezuinige woning? Dan is deze woning zeker een bezichtiging waard! Deze 2-onder-1-kap woning met vrijstaande houten garage en terrasoverkapping is gelegen op een ruime kavel in een groene, kindvriendelijke woonwijk.

Met energielabel A, dankzij de 14 zonnepanelen en de goede isolatie, is deze woning energiezuinig en comfortabel. De airco op de eerste verdieping zorgt voor een aangename temperatuur het hele jaar door. De woning biedt bovendien de mogelijkheid om de begane grond in te richten met een slaap- en badkamer, waardoor het ook in de toekomst prettig bewoonbaar blijft.

Aan de voorzijde heeft de woning zicht op het groene plantsoen waardoor je hier "lekker weg kijkt". De achtertuin is keurig onderhouden, biedt veel privacy en heeft een terrasoverkapping, ideaal om buiten te genieten. Het speelveld met speeltuin en het buurtcentrum liggen op loopafstand, net als diverse scholen en het winkelcentrum.

Neem contact met ons op voor meer informatie of een bezichtiging, deze kans wil je niet missen!

Indeling

Hal/entree, toilet met fontein, meterkast, trapopgang, royale living met zicht op plantsoen, halfopen keuken met L-vormige inbouwkeuken voorzien van diverse inbouwapparatuur, inpandige bijkeuken met opstelplaats wasmachine/droger, cv-ketel en achteringang.

Eerste verdieping

Overloop, badkamer met ligbad, 2e toilet, wastafelmeubel en afzonderlijke douche-cabine, 3 slaapkamers waarvan 2 met bergruimte achter de knieschotten.

Tweede verdieping

N.v.t.
Eventueel kan er een kleine zolder op de overloop gemaakt worden met vlizotrap ten behoeve van enige opbergruimte.

Overige verdiepingen

Bijgebouwen:
- Vrijstaande houten garage met een inwendige afmeting van ca. 9.95 x 3.00 meter;
- Terrasoverkapping (2020) met een afmeting van ca. 5.80 x 2.90 meter.

Bijzonderheden

Enkele wetenswaardigheden:
- Laag energieverbruik door de 14 zonnepanelen;
- Energielabel A;
- Airco aanwezig op de verdieping;
- Elektrische plafondverwarming in de woonkamer (2022);
- Voorzien van rolluiken op de begane grond en verdieping;
- Ruime terrasoverkapping uit 2020;
- Aan de voorzijde zicht op het groene plantsoen met speeltuin;
- Gelegen in een jonge en kindvriendelijke woonwijk!

Kaart

Kenmerken

Overdracht

Referentienummer
06666
Vraagprijs
€ 339.000,- k.k.
Elektra
€ 5,-
Gas
€ 105,-
Status
Verkocht
Aanvaarding
In overleg
Aangeboden sinds
Woensdag 16 april 2025
Laatste wijziging
Dinsdag 17 juni 2025

Bouw

Type object
Woonhuis, eengezinswoning, twee onder een kap woning
Soort bouw
Bestaande bouw
Bouwperiode
2003
Dakbedekking
Dakpannen
Type dak
Zadeldak
Isolatievormen
Ankerloze spouwmuren
Dakisolatie
HR-glas
Muurisolatie
Vloerisolatie

Oppervlaktes en inhoud

Perceeloppervlakte
264 m²
Woonoppervlakte
132 m²
Inhoud
475 m³
Oppervlakte externe bergruimte
30 m²

Indeling

Aantal bouwlagen
2
Aantal kamers
4 (waarvan 3 slaapkamers)
Aantal badkamers
1 (en 1 apart toilet)

Locatie

Ligging
Aan rustige weg
Dichtbij openbaar vervoer
In woonwijk
Nabij school

Energieverbruik

Energielabel
A

CV ketel

CV ketel
Intergas
Warmtebron
Gas
Bouwjaar
2016
Combiketel
Ja
Eigendom
Eigendom

Uitrusting

Warm water
CV-ketel
Verwarmingssysteem
Centrale verwarming
Keukenvoorzieningen
Inbouwapparatuur
Badkamervoorzieningen
Douche
Ligbad
Toilet
Wastafel
Parkeergelegenheid
Vrijstaande houten garage
Heeft airco
Ja
Heeft kabel-tv
Ja
Glasvezelaansluiting aanwezig
Ja
Heeft een garage
Ja
Telefoonaansluiting aanwezig
Ja
Beschikt over een internetverbinding
Ja
Heeft rolluiken
Ja
Heeft een dakraam
Ja
Heeft zonnepanelen
Ja

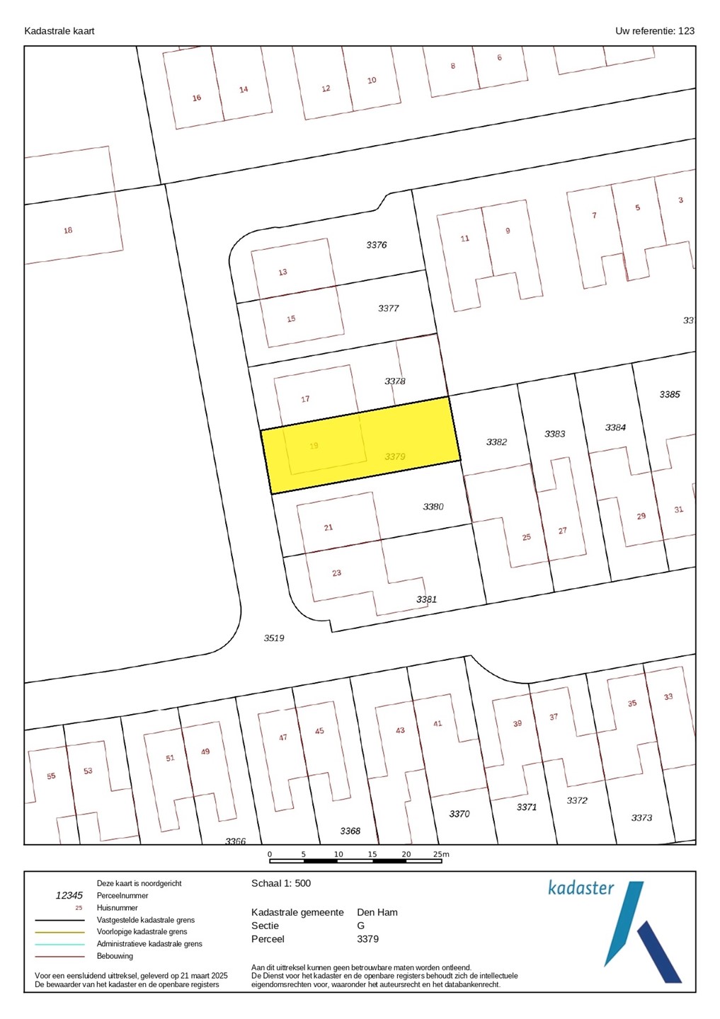
Kadastrale gegevens

Kadastrale aanduiding
Den Ham G 3379
Perceeloppervlakte
264 m²
Omvang
Geheel perceel
Eigendomsituatie
Eigen grond

Brochure(s) en overige bijlagen

Bijvank 19, 7681 ZA VROOMSHOOP (1) Download